Overview
- Updated On:
- 5 marca, 2026
- 2,337 m2
Description
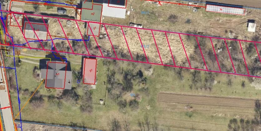
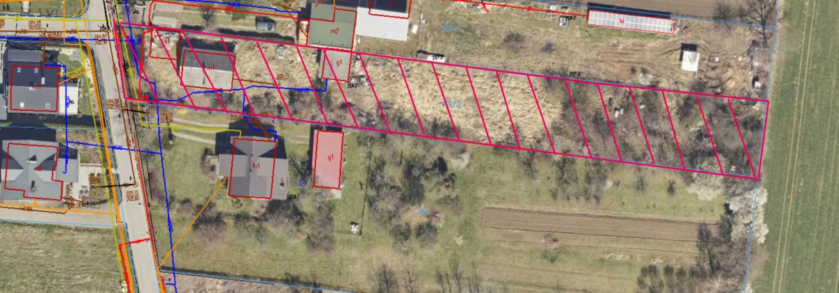
Działka budowlana z dwoma budynkami w złym stanie technicznym do rozbiórki, położona w ścisłej zabudowie mieszkaniowej jednorodzinnej w dzielnicy Krasnegostawu Zastawie Przedmieście przy ulicy Łukasińskiego w pobliżu pól uprawnych na lekkim zboczu, w kształcie długiego prostokąta. Działka posiada doprowadzone media (prąd, woda z wodociągu miejskiego, możliwość podpięcia się pod sieć gazową z przebiegającego tam gazociągu). Istnieje również możliwość podłączenia się do kanalizacji miejskiej. Zapraszam do prezentacji.
Energy Class: A+
Energy class A+
A+A
B
C
D
E
F
G
H
Property Id : 164953
Price: zł 160,000
Property Size: 2,337 m2
Other Features
budowlana
piętro: /
rok budowy:
rynek:
zł 820.35
per month- Principal and Interest
- Property Tax
- HOA fee
zł 620.35
pt.
22
maj
sob.
23
maj
niedz.
24
maj
pon.
25
maj
wt.
26
maj
śr.
27
maj
czw.
28
maj
pt.
29
maj
sob.
30
maj
niedz.
31
maj
Your information
Reviews
zzzWrite a Review
Similar Listings
Sprzedam działkę budowlaną w Górach Luszowsk...
zł 172,000
Sprzedam działkę budowlaną nr 2737/2 położoną w Górach Luszowskich (Luszowice), powiecie c ...
1,569 m2details
570 m² – gastronomia, medycyna, gaming
zł 8,060,370
LOKAL USŁUGOWY / GASTRONOMICZNY 570 m² | 3,49 m WYSOKOŚCI | 175 kW MOCY z możliwością połą ...
570 m2details
Mieszkanie 3-pokojowe Katowice ulica Bukszpa...
zł 783,200
Spółka LOCUS HOME to DEWELOPER który realizuje inwestycje mieszkaniowe na terenie Katowic ...
88 m2details
Sprzedam Miejsce Postojowe ul.Rynkowa 2 a-b ...
zł 49,000
Na sprzedaż miejsce postojowe w hali garażowej podziemnej w nowym bloku z 2025 roku, zloka ...
13 m2details










