Overview
- Updated On:
- 24 lutego, 2026
- 2,097 m2
Description
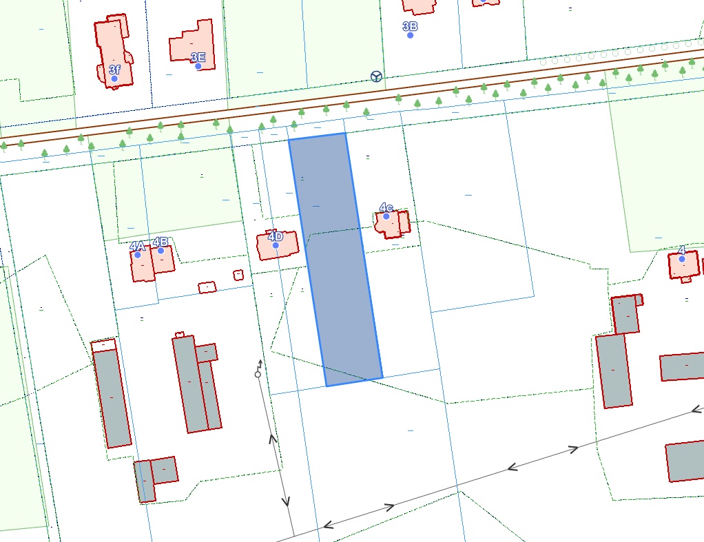
Działka budowlana 2 097 m² z przeznaczeniem mieszkaniowym i agroturystycznym
Lokalizacja:
Malinowo k. Działdowa, gmina Działdowo, woj. warmińsko‑mazurskie
Powierzchnia działki:
2 097 m² (0,2097 ha)
Numer ewidencyjny działki:
280302_2.0011.27/19 (obręb 0011 – Komorniki)
Opis nieruchomości:
Na sprzedaż działka budowlana o powierzchni ponad 2000 m², zlokalizowana w spokojnej, wiejskiej okolicy Malinowo, nieopodal Działdowa.
Działka posiada zagospodarowanie mieszkaniowe (zabudowa zagrodowa i jednorodzinna) oraz potencjał agroturystyczny, co czyni ją idealną pod budowę domu jednorodzinnego lub inwestycję w usługi turystyczne. Płaski teren i odpowiednia powierzchnia zapewniają swobodę w planowaniu i realizacji projektu.
MPZP (symbol M1 – Zabudowa mieszkaniowa zagrodowa):
Przeznaczenie: Budowa domu jednorodzinnego, zabudowy zagrodowej oraz obiektów gospodarczych.
Wysokość zabudowy: Do 2 kondygnacji nadziemnych z poddaszem użytkowym dla budynków mieszkalnych oraz 1 kondygnacja dla budynków gospodarczych.
Uzbrojenie:
Działka zlokalizowana jest na obszarze objętym planem zagospodarowania, co ułatwia dostęp do mediów (woda, prąd, kanalizacja) zlokalizowanych w pobliżu.
- Principal and Interest
- Property Tax
- HOA fee









